Hinweis

Für dieses multimediale Reportage-Format nutzen wir neben Texten und Fotos auch Audios und Videos. Daher sollten die Lautsprecher des Systems eingeschaltet sein.

Mit dem Mausrad oder den Pfeiltasten auf der Tastatur wird die jeweils nächste Kapitelseite aufgerufen.

Durch Wischen wird die jeweils nächste Kapitelseite aufgerufen.

Los geht's

Nano - Staub von morgen

Logo https://doku-arbeitswelten.baua.de/nano

Faszinierende Nano-Welt

Zum Anfang
Nanotechnologie – immer wieder als Schlüsseltechnologie des 21. Jahrhunderts bezeichnet, begegnet sie uns heute als Anwendung bereits in zahlreichen Produkten: als UV-Filter in Sonnencremes, im kratzfesten Autolack, als Oberflächenbeschichtung von Outdoorjacken, als Datenspeicher in Festplatten oder als Kontrastmittel in der Medizin.

Ihr breites Anwendungsspektrum lässt zahlreiche neue Arbeitssituationen entstehen, und es stellt sich die Frage, welche Risiken für die Beschäftigten von Nanomaterialien ausgehen.

Aber was bedeutet Nano eigentlich?
Zum Anfang
Die Vorsilbe „Nano“ kommt aus dem Griechischen und bedeutet „Zwerg“. Mit Nano wird eine Größenordnung bezeichnet, die sich auf der Ebene von Molekülen und Atomen bewegt.

Ein Nanometer ist der milliardste Teil eines Meters oder der millionste Teil eines Millimeters. Sich im Nano-Bereich zu bewegen bedeutet also, sich im Allerkleinsten zu bewegen.

Die Nanofaser (pink) im Bild ist so winzig, dass die Oberfläche eines Haars (grau-weiß) im Vergleich wie eine Mondlandschaft wirkt.




Zum Anfang
Durch ihre Winzigkeit haben Nanoteilchen ganz besondere Eigenschaften, die zu beeindruckenden Phänomenen führen.

Das bekannteste Beispiel ist wohl der Lotusblüteneffekt: Die Blätter der Lotuspflanze haben eine nanostrukturierte Oberfläche, wodurch sie wasserabweisend und selbstreinigend sind. Diese "Idee" der Natur dient als Vorbild für technische Anwendungen im Alltag, zum Beispiel für wasserabweisende Kleidung oder Fassadenfarbe, die Schmutz an Hauswänden abperlen lässt.

Der Lotusblüteneffekt ist allerdings nur ein Beispiel nanobedingter Phänomene unter vielen, die bereits in Technologie überführt wurden.





Zum Anfang
Ihre besonderen Eigenschaften machen Materialien aus Nanoteilchen für Forschung und Industrie sehr interessant. Aktuell werden viele künstliche Materialien im Nanometerbereich entwickelt und produziert.

Durch Nanotechnologie können sich die physikalischen und chemischen Eigenschaften eines Stoffes grundlegend ändern. Das kann zum Beispiel die elektrische Leitfähigkeit, die Härte oder die Farbe betreffen.

Das Anwendungsfeld der Nanos ist deshalb riesig – vom Flugzeugbau über Energietechnik und Medizin bis hin zur Informationstechnologie verspricht die Nanotechnologie Unmengen revolutionärer Anwendungen.
Zum Anfang
Das enorme Wachstum der Nanotechnologie führt auch dazu, dass Nanomaterialien schon heute an immer mehr Arbeitsplätzen eine Rolle spielen.

Aber wie steht es um die Risiken von Nanomaterialien? Was wissen wir über ihre Wirkung auf Mensch und Umwelt? Wie geht der Arbeitsschutz mit den neuen Materialien um?
Zum Anfang

Neue Stoffe - neue Gefahren?

Die Einführung neuer Werkstoffe in die Produktion wirft viele Fragen auf.
 
Dabei ist die Geschichte des technischen Fortschritts immer auch eine Geschichte neuer Materialien: Von Verbundstoffen wie Getränkekartons bis hin zum Silizium-Chip prägen neue Werkstoffe unsere Welt nachhaltig. Heute gehen rund zwei Drittel aller Neuerungen auf innovative Materialien zurück.
 
Die Chancen, die sich durch neue Materialien eröffnen, sind jedoch nicht immer frei von Nebenwirkungen. Besonders ein Stoff, zunächst als Wundermaterial gefeiert, hat eine fatale Wirkung entfaltet: Asbest .
Zum Anfang

Dr. Rolf Packroff

Wissenschaftlicher Leiter des Fachbereichs "Gefahrstoffe und Biologische Arbeitsstoffe"
Bundesanstalt für Arbeitsschutz und Arbeitsmedizin

0:00
/
0:00
Video jetzt starten
Zum Anfang
Die Ursache der krebserzeugenden Wirkung von Asbest liegt in der Faserform des Materials und seiner Biobeständigkeit, d.h. seiner Unlöslichkeit im Körper.

Die Gesundheitsgefahren durch Asbeststaub, dem vor allem Beschäftigte ausgesetzt waren, wurden schon Anfang des 20. Jahrhunderts erkannt. Viel zu spät allerdings reagierte der  Arbeitsschutz auf asbestbedingte Gefahren am Arbeitsplatz: Die ersten Schutzvorschriften gab es erst 1972, das Asbest-Verbot in Deutschland trat erst Mitte der 1990er Jahre in Kraft.

Der Zeitabstand zwischen Asbestbelastung und Krebserkrankung beträgt im Schnitt über 30 Jahre. Die Folgen des unzureichenden Arbeitsschutzes werden somit erst heute in vollem Umfang deutlich, da der Asbestverbrauch in Deutschland noch bis Mitte der 1970er-Jahre kontinuierlich stieg.

Zum Anfang
Die Versäumnisse des Arbeitsschutzes bei Tätigkeiten mit Asbest sollen sich nicht wiederholen. Die Bundesanstalt für Arbeitsschutz und Arbeitsmedizin (BAuA) begleitet die Einführung innovativer Materialien daher eng.

Im Blick hat sie dabei insbesondere faserartige Materialien, deren krebserzeugende Wirkung das Beispiel Asbest verdeutlicht hat. Zur Gruppe biobeständiger und faserförmiger Materialien gehören auch einige Nanomaterialien, die in den Laboren der Bundesanstalt untersucht werden, um mögliche Gesundheitsrisiken durch Nanostaub am Arbeitsplatz einschätzen zu können.

 
Zum Anfang

Dr. Elisabeth Heunisch

Wissenschaftliche Mitarbeiterin der Fachgruppe " Partikelförmige Gefahrstoffe, Innovative Materialien"
Bundesanstalt für Arbeitsschutz und Arbeitsmedizin

0:00
/
0:00
Video jetzt starten
Zum Anfang
Im hauseigenen Labor der BAuA werden neuartige Materialien auf schädliche Wirkungen hin untersucht. Doch wie geht das vonstatten?
Zum Anfang
Für die Beurteilung des Gesundheitsrisikos eines neuen Materials spielen zwei Faktoren eine Rolle: Wie schädlich ist das Material (Toxizität)? Und: Welcher Menge des Materials sind Beschäftigte ausgesetzt (Belastung)?

Die Untersuchungen der BAuA zeigen: Bestimmte Nanopartikel haben eine mit Asbest vergleichbare Form und bringen beim Einatmen möglicherweise ähnliche Gefahren mit sich.

Im nächsten Schritt muss nun untersucht werden, wie hoch die Belastung mit diesen Stoffen am Arbeitsplatz ist.
Zum Anfang

Dr. Rolf Packroff

Wissenschaftlicher Leiter des Fachbereichs "Gefahrstoffe und Biologische Arbeitsstoffe"
Bundesanstalt für Arbeitsschutz und Arbeitsmedizin

0:00
/
0:00
Video jetzt starten
Zum Anfang

Umgang mit neuen Materialien

Zur Ermittlung möglicher Belastungen durch Nanofasern wird momentan an der BAuA eine neue Messstrategie für Arbeitsplätze erarbeitet. Um diese zu testen werden Laborversuche an einem neu entwickelten Faserprüfstand durchgeführt.

Zur Messung der Faserbelastung in Unternehmen verfügt die BAuA zudem über ein mobiles Labor und arbeitet teils mit externen Forschungseinrichtungen zusammen.
Zum Anfang
Ziel der BAuA-Aktivitäten ist es, den Schutz vor gefährlichen Stäuben und Fasern gesetzlich zu verankern – zum Beispiel im Rahmen der europäischen REACH-Verordnung (REACH = Registration, Evaluation, Authorisation of Chemicals).

Außerdem gibt die BAuA Empfehlungen für die Gestaltung von Arbeitsplätzen, an denen mit Nanomaterialien gearbeitet wird, heraus.

Auch die Entwicklung standardisierter Staubungstests, die vergleichbare und verlässliche Ergebnisse zur Belastung mit schädlichen (Nano-)Fasern liefern sollen, hilft beim Festlegen vernünftiger Regeln.
Zum Anfang

Dr. Rolf Packroff

Wissenschaftlicher Leiter des Fachbereichs "Gefahrstoffe und Biologische Arbeitsstoffe"
Bundesanstalt für Arbeitsschutz und Arbeitsmedizin

0:00
/
0:00
Video jetzt starten
Gesetzliche Regeln, belastbare Messverfahren und die Gestaltung von Arbeitsplätzen leisten einen wichtigen Beitrag zum Schutz vor den Risiken neuer Materialien. Aber wäre es nicht besser, wenn von diesen erst gar keine Gefahr ausginge?

Video öffnen

Zum Anfang
Die Möglichkeiten von Nanomaterialien sind riesig – für die Forschung genauso wie für die Industrie. Ihre Bedeutung für Fortschritt und Wachstum wird in Zukunft weiter steigen.

Gleichzeitig hat der Arbeitsschutz aus der Erfahrung mit Asbest gelernt: Neue "Wundermaterialien" sollten möglichst früh gründlich erforscht werden.

Das ist die Aufgabe der BAuA im Bereich der Nanotechnologie: Neue und innovative Materialien sollen nicht verboten oder verhindert, sondern von Beginn an auf sichere Weise gefördert werden – damit der Nanostaub von morgen nicht das "neue Asbest" wird.

Zum Anfang





Weitere Informationen
www.baua.de/nanotechnologie



Zum Anfang

Dank

„Staub von morgen“ wurde von der Bundesanstalt für Arbeitsschutz und Arbeitsmedizin (BAuA) im Rahmen des Projekts „Wissen scha(f)ft gesunde Arbeit“ erstellt. Das Projekt wurde vom Bundesministerium für Bildung und Forschung im Rahmen des Wissenschaftsjahrs 2018
„Arbeitswelten der Zukunft“ gefördert.

Neben den Kolleginnen und Kollegen, die in der Web-Dokumentation zu Wort kommen, danken wir Sabine Plitzko, Daniela Wenzlaff, Carmen Thim und Nico Dziurowitz von der Fachgruppe „Partikelförmige Gefahrstoffe, Innovative Materialien“ der BAuA für ihre fachliche Begleitung und Unterstützung.

Wir danken außerdem dem Fraunhofer-Institut für Chemische Technologie in Pfinztal.
Zum Anfang

In der Praxis 2

Die BAuA verfügt über eine mobile Fasermesseinrichtung, die z. B. in Betrieben zur Erfassung der Faserbelastung eingesetzt wird. Dieses kam unter anderem im Fraunhofer-Institut für Chemische Technologie in Pfinztal zum Einsatz.
    Zum Anfang
    Ein Arbeitsschwerpunkt des Fraunhofer-Instituts für Chemische Technologie in Pfinztal ist die Entwicklung neuartiger Kunststoffkomposite. Dabei stehen sowohl die Materialeigenschaften, als auch die Fertigungsprozesse im Mittelpunkt des Interesses.
    Zum Anfang
    Die Arbeitsgruppe "Materialentwicklung und Compoundiertechnologien" arbeitet an nanoskaligen Zusatzstoffen, um die elektrischen, mechanischen und thermischen Eigenschaften von Materialien zu beeinflussen.

    Ein Anwendungsbeispiel sind elektrische Leitungen aus Kunstoffkomposit, wie sie in dieser Leuchtdiode zum Einsatz kommen.
    Zum Anfang
    Zum Anfang
    „Wir entwickeln und erproben innovative Verfahren, mit denen die Einbringung von Nano-Partikeln in Kunststoffe optimiert werden kann. Neben einer hohen Produktqualität hat dabei die Sicherheit der Beschäftigten höchste Priorität. Die Arbeitsplatzmessungen der BAuA haben gezeigt, dass unsere Verfahren und Schutzmaßnahmen die Mitarbeiterinnen und Mitarbeiter effektiv vor kritischen Nanofasern schützen.“

    Dr. Christof Hübner

    Arbeitsgruppe „Materialentwicklung und Compoundiertechnologien“

    Fraunhofer-Institut für Chemische Technologie


    Zum Anfang

    Die Wirkhypothese

    Dr. Elisabeth Heunisch

    Wissenschaftliche Mitarbeiterin der Fachgruppe " Partikelförmige Gefahrstoffe, Innovative Materialien"
    Bundesanstalt für Arbeitsschutz und Arbeitsmedizin

    0:00
    /
    0:00
    Video jetzt starten
    Zum Anfang

    Die Auswertung

    Nach oben scrollen
    Nach links scrollen
    Nach rechts scrollen
    Nach unten scrollen

    Rasterelektronenmikroskop (REM)

    Bedeutung und Funktionsweise

    REM-Aufnahmen

    Bildergalerie

    Ergebnisse

    Auswertung der REM-Untersuchung

    Zum Anfang

    Bilder REM

    Das Rasterelektronenmikroskop erlaubt faszinierende Einblicke in die verborgene Welt der Nano-Strukturen.
    Zum Anfang

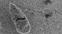
    Agglomerat aus mehrwandigen Kohlenstoffnanoröhren (MWCNT = Multiwalled Carbon Nanotubes)

    Zum Anfang
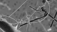
    MWCNT-Agglomerate und -Bündel
    Zum Anfang
    Agglomerat mehrwandiger Kohlenstoffnanoröhren
    Zum Anfang
    verschiedene MWCNT-Materialien
    Zum Anfang
    verschiedene Kohlenstoffnanoröhren (mehrwandig und einzelwandig)
    Zum Anfang
    Bündel aus einzelwandigen Kohlenstoffnanoröhren (SWCNT = Singlewalled Carbon Nanotubes)
    Zum Anfang

    REM

    Dank Rasterelektronenmikroskopie haben wir heute Einblicke auf Nano-Ebene, die selbst die besten optischen Mikroskope nicht bieten. Das REM nutzt statt Licht einen gebündelten Elektronenstrahl, um die Oberflächen winzigster Objekte abzutasten. Die Bilder werden deshalb in unterschiedlichen Grauwerten dargestellt.

    Im BAuA-Labor kommt das REM unter anderem bei der Untersuchung neuer Nano-Materialien zum Einsatz.
    Zum Anfang

    Die Messung

    Dr. Dirk Broßell

    Wissenschaftlicher Mitarbeiter der Fachgruppe " Partikelförmige Gefahrstoffe, Innovative Materialien"
    Bundesanstalt für Arbeitsschutz und Arbeitsmedizin

    0:00
    /
    0:00
    Video jetzt starten
    Zum Anfang

    Faserprüfstand

    In den Berliner Labors der BAuA befindet sich Deutschlands größter Nanofaserprüfstand. Innerhalb des Prüfstandes wird die Belastung durch faserförmige Nanomaterialien simuliert. Mit Hilfe der dabei erzeugten Faserkonzentrationen kann z.B. die Messstrategie für Arbeitsplätze erprobt werden.

    Diese Forschung ebnet den Weg für standardisierte Messverfahren. Danach können Messungen an Arbeitsplätzen in den unterschiedlichen Unternehmen erfolgen.
    Zum Anfang

    Ergebnisse REM

    Dr. Dirk Broßell

    Wissenschaftlicher Mitarbeiter der Fachgruppe " Partikelförmige Gefahrstoffe, Innovative Materialien"
    Bundesanstalt für Arbeitsschutz und Arbeitsmedizin

    0:00
    /
    0:00
    Video jetzt starten
    Zum Anfang
    Scrollen, um weiterzulesen Wischen, um weiterzulesen
    Wischen, um Text einzublenden